Diseases and Pests of Magnolia
Identification, prevention and natural solutions
Contents
Magnolias are among those bushes or trees particularly valued for their flowering. This occurs very early in spring or in summer, revealing a wide variety of colours and shapes.
Resilient, the magnolia withstands cold well, as well as urban pollution. It is also generally robust against diseases and pests. However, poorly adapted growing conditions can make it more susceptible and impact its health.
Let’s explore the main diseases or pests that can affect magnolias. We will also discuss preventive measures and treatments to implement in case of symptoms.
Fungi responsible for cryptogamic diseases
Description and Symptoms of Pestalozzia
Pestalozzia is a microscopic fungus that can cause significant damage to magnolias. The first symptoms appear on the foliage as brown or greyish spots. The most affected leaves will then fall to the ground, and the disease can lead to total defoliation of the tree, followed by its decline.
Pestalozzia often appears in spring, during mild and humid weather.
Description and Symptoms of Honey Fungus
Honey fungus can develop rapidly and cause the loss of magnolias, while also contaminating nearby plants and the soil. It is therefore a particularly dreaded disease.
It is identified by the presence of mycelium or mushrooms on the plants. Unfortunately, the disease is often discovered late, as the symptoms usually first appear on the roots before affecting the base of the trunk. With sap no longer circulating properly, the leaves and shoots eventually dry out.
To learn more: “Honey Fungus: Recognise and Control this Tree Fungus.”

Honey fungus (© Charles de Mille-Isles)
Description and Symptoms of Coral Disease
Coral disease is easily recognised by the small orange pustules that appear on the bark. Here again, the circulation of sap is obstructed, causing the buds to dry out and the shoots to die. Its contamination of neighbouring plants is rapid.
To learn more: “How to Prevent Coral Disease.”

Orange pustules of coral disease
Prevention
Fungi often appear on already weakened subjects (not due to another disease, but due to a climatic event, etc.). Good growing conditions allow magnolias to remain healthy, making them less susceptible to fungal diseases. To achieve this, carefully plant them while respecting the needs of these plants: provide them with fresh soil (moist but not waterlogged), light soil (that allows water to drain), and regularly feed them with organic matter (compost, fertiliser for ericaceous plants, etc.). Place them in a sunny or partially shaded location, preferably sheltered from prevailing winds.
Also, avoid replanting plants susceptible to fungal diseases in previously infected areas. When planting, be careful not to damage the roots: injuries are real entry points for diseases.
Other actions can help limit the appearance and development of fungi:
- systematically disinfect your cutting tools to prevent the transmission of diseases between plants;
- remove dead leaves and other plant debris present at the base of your magnolias to prevent spores from finding refuge there;
- maintain proper planting distances to promote natural air circulation between the bushes and avoid stagnant moisture on the leaves;
- avoid wetting the foliage during watering;
- carry out pruning and trimming work in dry weather;
- prefer light and regular maintenance pruning rather than drastic pruning (if necessary, use healing paste).

Remove dead leaves under the tree
Natural Antifungal Treatments
Regular observation will allow you to quickly eliminate affected parts by cutting back shoots and collecting fallen leaves. Dispose of them at the waste disposal site, not in the compost.
In case of more advanced symptoms, use a natural fungicide, such as Bordeaux mixture. This sulphur-based powder should be diluted in water and sprayed on the foliage. It is usable in organic farming, but prefer occasional use over a short period to avoid disrupting the soil and thus promoting the development of diseases.
Many gardeners also use plant manures to manage fungal diseases, both preventively and curatively. For example, consider nettle manure or horsetail manure. These natural solutions should also be diluted in water and sprayed on the Magnolia foliage in spring.
Unfortunately, it is difficult to eradicate honey fungus and coral disease. If the symptoms are too advanced, the tree or shrub will be doomed and felling will be the only solution to prevent contamination.
To learn more:
– “Everything You Need to Know About Fungal Diseases”;
– “Bordeaux Mixture and Other Copper-Based Treatments in the Garden”;
Read also
Magnolias: planting, pruning and careChlorosis
Description and Symptoms
The leaves of your Magnolia are turning yellow and eventually falling off. This indicates a deficiency in iron, affecting the natural synthesis of chlorophyll. In the long run, the entire plant slows its growth and eventually declines.
Prevention
Most magnolias, like the Magnolia grandiflora, do not tolerate the presence of lime in the soil well. Provide them with a light substrate that does not retain water, and a pH that is rather neutral or acidic. If your soil is calcareous, add heather soil at the time of planting. You can also opt for the Kobe Magnolia, one of the few species that can tolerate a small amount of lime in the soil, or prefer pot cultivation.
When watering, favour rainwater rather than tap water. In the latter case, to minimise risks, let the water sit for a few hours before watering or use an anti-lime product to soften it.
Natural Treatments
There are anti-chlorosis products based on iron chelate, readily available in stores or online. They act quickly by causing the leaves to turn green again. This product should be sprayed at the first signs of symptoms, ideally in spring. However, this solution is only temporary, as if the growing conditions are not addressed, the deficiency will reappear. Amend the soil by adding compost, dried horn, or a fertiliser for heather soil plants.
Nettle manure may also have a beneficial effect in cases of chlorosis.
To learn more: “Iron Chlorosis”.

Leaves affected by iron chlorosis discolour and turn yellow
Discover other Magnolia
View all →Available in 1 sizes
Available in 1 sizes
Available in 2 sizes
Available in 3 sizes
Available in 1 sizes
Available in 1 sizes
Available in 2 sizes
Available in 1 sizes
Available in 2 sizes
Available in 1 sizes
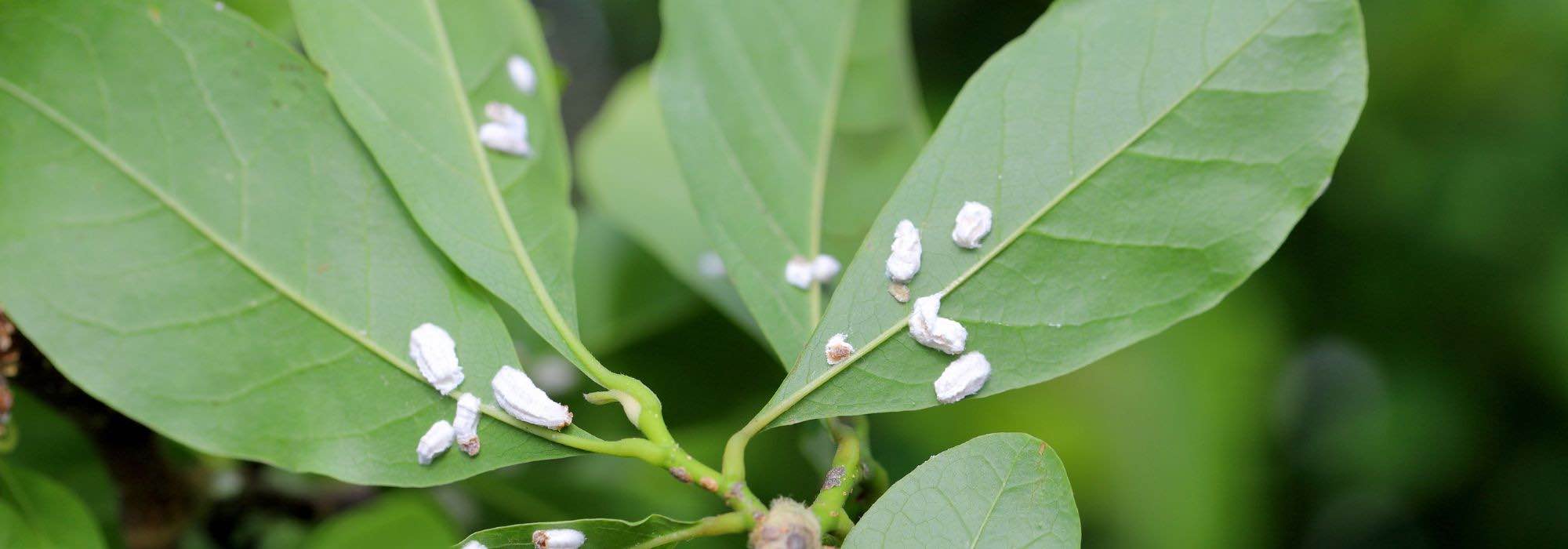
Magnolia scale
Description and Symptoms
There are different types of scale insects, but it is mainly the armoured scale that is found on magnolias. These piercing-sucking insects prefer confined, warm, and humid environments. They resemble brown or white pustules, present in colonies on the branches.
By sucking the sap from plants to feed, they weaken them. Most importantly, due to the production of honeydew (a sticky substance), they promote the development of sooty mould, a fungal disease that impacts photosynthesis. Their presence is noticeable by the deposit of cottony masses and black substance, as well as the yellowing of leaves. A large number of ants is also an indicator, as they enjoy feeding on the honeydew produced by the scale insects (similar to aphids).
Prevention
Regular monitoring of your plants allows for quick intervention.
A balanced garden will encourage biodiversity and the presence of natural predators of scale insects, such as lacewing larvae.
Careful cultivation conditions will ensure the natural health of your Magnolia.
Natural Treatments
If the infestation is caught early and on small plants, it is possible to remove scale insects by hand, by removing the shells. You can use a piece of cotton or cloth soaked in soapy water, or a jet of water to dislodge them. Heavily affected branches should be pruned to prevent further proliferation.
A larger infestation will be treated with a natural insecticide. Dilute one tablespoon of black soap and the same amount of vegetable oil in 1 litre of warm water. Spray on the affected areas and repeat after a week if necessary. Intervene in the late afternoon or out of direct sunlight.
For more information: “Scale Insect: Identification and Treatment”

Scale insects on Magnolia leaves
- Subscribe!
- Contents
Comments